重磅!徐州棚改安置政策变了!
新一轮楼市政策潮,来了!
昨天下午住房和城乡建设部部长倪虹释放重磅消息:把2000年前建成小区纳入城市更新改造范围;城中村改造规模再扩大;住宅层高标准,提高至不低于3米;推进收购存量商品房,优先用作保障房、安置房、人才房等……
①被征收人选择《购房卡》安置的,可以根据有关法律、法规享受安置房税收减免。
②被征收人购买新建商品住宅未取得房产证(不动产权证)的,被征收人子女可凭相关材料到房产所在地义务教育施教区学校报名,接受房产所在地教育行政部门统筹安排。
最新发布
徐州棚改安置政策有变
为进一步拓宽房屋征收安置渠道,化解征收安置以及超期安置难题,进一步扩大市场化安置范围,满足被征收人住房改善需求,减少被征收人在外过渡周期、降低征收成本的同时,促进房地产市场健康发展,徐州市人民政府发布《徐州市住宅房屋征收<购房卡>安置办法(征求意见稿)》。重点如下:
1、《购房卡》安置定义
《购房卡》安置是指被征收人选择货币安置(含选择非完全货币安置方式)方式后,向参与《购房卡》安置工作的房地产开发企业购买新建商品房(包括新建住宅、商业、办公用房及配套的车位、车库、储藏室,不含定销商品房、经济适用住房、配售型保障性住房等政策性住房)的,可享受购房补贴,购房补贴和《房屋征收补偿协议》中被征收房屋评估价款以《购房卡》形式出具给被征收人。
2、适用范围
《购房卡》安置适用于本市行政区域内新实施的住宅房屋征收项目(本办法施行后发布征收公告的项目)。
3、购房补贴金额
被征收人使用《购房卡》购买新建商品房的,可享受购房补贴,最高购房补贴金额为被征收房屋评估价款的20%。
《购房卡》可以由被征收人或其近亲属(仅限配偶、父母、子女、兄弟姐妹、祖父母、外祖父母、孙子女、外孙子女)使用。被征收人有多人时,需被征收人共同确认《购房卡》使用人。《购房卡》由近亲属使用的,被征收人在申请《购房卡》时,应当同时明确使用人信息。在购买商品房、签订《商品房买卖合同》时购房人信息应当与《购房卡》使用人信息保持一致。《购房卡》不得转让、赠与、抵押、质押、套现等。被征收人及其近亲属持有多张《购房卡》,补贴金额可以并用,也可选择分别使用。
《购房卡》自发放之日起6个月内有效,超过6个月(以《商品房买卖合同》备案时间为准)未购买商品房的,视为放弃购房补贴。
徐州一大波区域
即将启动拆迁
按照徐州政府工作报告,2025年,徐州计划实施大郭庄片区、九里山北片区等10个项目房屋征收,共约601万㎡。
2、汉风街道办事处大韩社区、张屯社区、大龙湖街道办事处程庄社区。
拟征收大韩社区集体所有土地0.2446公顷。其中,建设用地0.2446公顷;
拟征收张屯社区集体所有土地0.0664公顷。其中,农用地0.0664公顷,含耕地0.0634公顷;
拟征收程庄社区集体所有土地0.0291公顷。其中,建设用地0.0291公顷。
3、徐州市云龙区2025-01号土地征收成片开发,涉及大龙湖街道、潘塘街道,包括1个片区。方案范围总面积为25.2863公顷,项目从2026年开始实施,进度逐年递增,进度最迟至2031年完成项目进度的100%。
4、泉山区火花街道群英社区、火花街道火花社区、段庄街道段庄社区等区域即将启动拆迁。
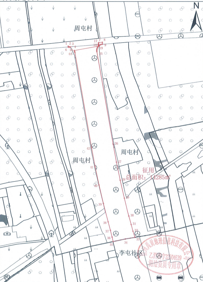
5、鼓楼区周屯村,用作平山路北延(拾屯段)项目,面积1.4285公顷。
6、徐州市2024年度第23批次城市建设用地,被征收土地包含九里街道刘楼社区、牌楼街道马场社区、琵琶街道殷庄社区。
7、铜山区新区街道驿城村即将启动拆迁。
- 徐州市公积金政策重大调整!夫妻最高可贷100万元
- 徐州信息网恭祝全市人民中秋快乐!
- 徐州市住房和城乡建设局某原副局长被判刑!
- 徐州驾校8月份合格率排名出炉!
- 铜山这些校外培训机构被查!
- 不调休!中秋节放假安排来了
- 徐州市常态化开放核酸采样点明细来了!
- 徐州主城区16所公办热门小学启动电脑派位!
- 徐州九顶山野生动物园 9月28日正式开园迎客!
- 徐州第3轮地铁规划
- 徐州又出新政,公积金偿还商贷细则来了!
- 汽车客运南站、汽车客运西站即将终止站务经营
- 2022年徐州最新最全买房、贷款、落户政策
- 移步换景!一起来看看彭城广场新面貌
- 核酸采样小屋,亮相徐州!
- 徐州市居民小区,开始集中整治!
- 徐州市全员核酸检测预约登记系统正式启用
- 被通知集中隔离应该做什么?
- “抄小道”,逃避防疫检查!被处罚!!!
- 徐州加油 坚持,必将胜利!!



